Share/Save/Bookmark

Presented by the
Newfoundland's Grand Banks Site
to assist you in researching your Family History

Click on the graphic below to return to the NGB Home Page
Newfoundland's Grand Banks

To contribute to this site, see above menu item "About".

These transcriptions may contain human errors.
As always, confirm these, as you would any other source material.

Miscellaneous Deeds, Grants, Petitions & Wills
(R)
Roach Land Grant
Middle Cove

 

Vol.4 Folio 81       Newfoundland
No. 671

I, Gaspard Le Marchant (L.S.)

Victoria, by the Grace of GOD, of the United Kingdom of Great Britain and Ireland, Queen, Defender of the Faith.

To all to whom these presents shall come, Greeting:

Know Ye, that We. Of Our Special Grace, Certain Knowledge, and Mere Motion, have given and granted, and by these presents do, for Ye, Our Heirs and Successors, Give and Grant unto John Roach

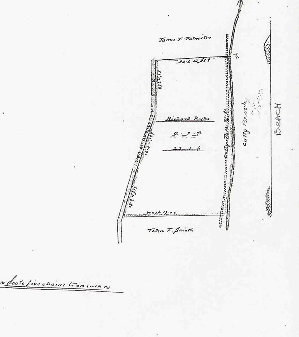
in our Island of Newfoundland his Heirs and Assigns all that piece and parcel of Land situate and being about a quarter of a mile westerly from the beach at Middle Cove and lying on the west side of a Public Road leading from Middle Cove to Torbay abutted and bordered as follows, that is to say, on the North by a path through the woods and extending along the same twenty-two chains and sixty-two links more or less on the east by the said road to Torbay, seventeen chains and sixty links on the South and Southwest by a crossroad backing towards the said Cove and extending along the same from the said Torbay Road Westerly and Northwesterly twenty-three chains and fifty-one links more or less and thence running by the Magnet North sixteen degrees East six chains and fifty links more or less as shown in the diagram No. 1 on the other side hereof. --- Also all that other piece of land adjacent to that before described being separated therefrom by the above-named crossroad abutted and bounded as follows that is to say on the North by the said crossroad abutted and abounded as follows that is to say north by the said crossroad twelve chains and eighty links on the East by land granted to Moses Power five chains and fifty links on the South by a space of ground twenty feet wide reserved along the margin of the Middle Cove River twelve chains and twenty-four links more or less and on the West by a line running from the said crossroad South six degrees fifteen minutes West six chains and eighty links more or less to the space of ground reserved as aforesaid containing seven acres and three roads more or less to the piece of ground reserved as aforesaid containing seven acres and three roads more or less as shown in the Diagram No. 2 on the other side hereof --- also all that other piece and parcel of land situate and being on the South side of a Public Road leading towards the Main Road from Outer Cover to Middle Cove - abutted and bounded as follows that is to say on the Northward of land occupied by James McGrath four chains and thirty-eight links more or less on the East by a stream of water extending about the same ten chains and ten links more or less, on the Southward by the Public Road four chains and eighty-four links more or less and on the Westward by a crossroad following the windings of the same eleven chains and ten links more or less as shown in the Diagram No. 3 on the other side hereof. --- The Roads above named being left sixty feet wide and being of the dimensions specified in the diagram delineated on the other side hereof and containing in one whole thirty-eight acres and three roads more or less with the appurtenances except and reserved nevertheless out of this present Grant to Us our heirs and Successors all Gold and Silver and Mines and minerals in or under said piece or parcel of Land
      To Have and to Hold (except as before excepted) unto the said John Roach, his heirs and assigns for ever he the said John Roach paying unto Us as the price and consideration of the said Land the SUM of five shillings Sterling Money at the time of the ensealing and delivery thereof.

      Provided always and this present Grunt is upon condition that the same Grant be registered in tile Office of Registry of our Supreme Court of Newfoundland within Six months next after the day of the date hereof or otherwise that the same shall be void and of non effect. Provided also that this present Grant is upon further condition that the said Lands shall be holden upon under and subject to such regulations as are now in force or which may at any time hereafter be made by Law for making Roads, Sewers, Drains, Canals, Bridges or other Public Works or Improvements within out said Island or any part thereof and for subjecting any Lands therein situate or the owners or occupiers of such Lands to rates and assessments or other duties or services for the purposes aforesaid or for any of them. And that the said John Roach, his heirs and assigns shall at all times peaceably quit and deliver up possession to Us our heirs and successors of all such parts of the Lands aforesaid as may be required for the purposes aforesaid or any of them upon receiving such compensation (if any) as by any Law now in force or hereafter to be made in that respect may be provided.

Given under the Great Seal of the aforesaid Island of Newfoundland at St. John's in the said Island this twenty-sixth day of January in the Year of Our Lord One Thousand Eight Hundred and Forty eight in the Eleventh year of our Reign.

Witness our trusty well-beloved Sir John Gaspard Le Marchant, Knight and Knight Commander of the Most Distinguished Order of St. Michael and St. George, our Governor and Commander-in-Chief in and over our said Island and its Dependencies, etc.

By His Excellency's Command

Signed (by hand): James Crowdy

Received the day and year above written from the within named Grantee the Sum of Five Shillings amount of the Consideration Money of the land herein granted

0-5-0 [5 shillings]
Signed (by hand): James Crowdy
[Colonial] Secretary

MAP of Property - attached…..

 

 

Lot No. 671 John Roach of St. John's

John Ward Act. Surv. Gen.
10 January 1848

Deposited and registered this first day of February A.D. one thousand eight hundred and forty eight.

Rob. R. W. Lilly
Act Chief Clerk & Reg.


This grant was in 1848 and is in the online Index. The second (Richard's) 1887 may not be. They are on official letter head with the provincial seal in the top centre. The Grants came from the Provincial Dept of Gov Services and Lands. They are from something called the Original Registry Volume # Folio # and No.

 

 

Page Contributed by Jim Roach

Page Revised by Ivy F. Benoit (Monday March 25, 2013 ADT)

Newfoundland's Grand Banks is a non-profit endeavor.
No part of this project may be reproduced in any form
for any purpose other than personal use.

JavaScript DHTML Menu Powered by Milonic

© Newfoundland's Grand Banks (1999-2024)

Hosted by
Chebucto Community Net

Your Community, Online!

Search through the whole site
[Recent] [Contacts] [Home]